2023/1/3 泳がせ釣りコース!
本日も泳がせ釣りコース出船致しましたよ~!
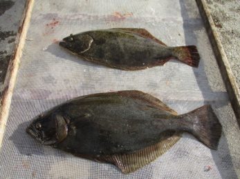
今日もメインターゲットは寒ヒラメ!!
連日好調にあがっておりますよ!!
ヒラメの他に青物ワラサ、ハタ類なども混ざり釣れましたね!
明日も爆釣目指して頑張りますよ~乞うご期待!!
青物ぶり、ワラサの仕掛けハリス12号ぐらいの仕掛けを持って来て下さいね!
ぶりはもちろんですが今年はワラサも脂ノリノリ絶品ですよ!!
さぁ~これを見ているあなたも泳がせ釣りに出掛けよう!!







































Information
- 釣船 大進丸
- 〒470-3412
- 愛知県知多郡南知多町豊浜字鳥居
- TEL 0569-65-0391
- FAX 0569-65-0391
- info@daishinmaru.jp
メールでの予約・変更・キャンセルはお受けできません。